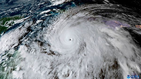
Googles KI-Wettermodell brillierte in der aktuellen Hurrikansaison

vor 3 Stunden - derStandard

Das Modell von Deepmind schneidet besser als klassische Prognosen ab. Zudem kann es mit wesentlich weniger Ressourcen betrieben werden und ist Bei all den Diskussionen rund um das Thema Künstliche Intelligenz...weiterlesen »

Gemini: Deep Research kombiniert jetzt persönliche Nutzerdaten mit Webquellen – neuer Workspace-Zugriff

vor 4 Stunden - googlewatchblog.de

Der KI-ChatBot Gemini kann schon seit längerer Zeit auf die wichtigsten Google-Produkte zugreifen, um den Nutzern von ihren E-Mails über Termine bis zur Fotosammlung oder den abonnierten Videos Informationen...weiterlesen »

Dänemark will Bevölkerung vor KI-Deepfakes schützen

vor 8 Stunden - euronews

Im Jahr 2021 bekam die dänische Videospiel-Streamerin Marie Watson ein Foto von sich. Es kam von einem unbekannten Instagram-Konto. Sie erkannte das Urlaubsfoto sofort, es stammte von ihrem eigenen Instagram-Konto....weiterlesen »

ChatGPT: Längere Denkvorgänge lassen sich live mit neuen Daten gefüttert

vor 9 Stunden - SmartDroid

OpenAI hat ein neues Feature für ChatGPT vorgestellt und es zielt auf längere Denkvorgänge ab. Wenn die KI gerade arbeitet und dem Nutzer doch noch weitere Feinheiten und Details einfallen, kann der Denkvorgang...weiterlesen »

Google Gemini durchsucht nun auch Gmail, Drive und Chat

vor 12 Stunden - SmartDroid

Googles KI-Tool Gemini Deep Research kann ab sofort Informationen aus Gmail, Drive und Chat einbeziehen, das hatte sich bereits kurz vorher angedeutet. Damit soll die Funktion komplexere Analysen und Berichte...weiterlesen »

Google Translate & Gemini: Nutzer können zwischen den Sprachmodellen wechseln – neue Funktion zeigt sich

vor 2 Tagen - googlewatchblog.de

Auch beim Übersetzer Google Translate ist vor einiger Zeit die Gemini-KI eingezogen und schon bald soll diese sowohl sichtbarer als auch stärker werden. Wie sich bei ersten Nutzern der mobilen App zeigt,...weiterlesen »

Gemini Deep Research künftig mit sehr viel besserer Quellenauswahl

vor 2 Tagen - SmartDroid

Google will sein Recherchetool in Google Gemini demnächst um ein Feature erweitern, das uns vor allem an die Fähigkeiten von NotebookLM erinnert. Während das externe Tool ausschließlich mit euren eingefügten...weiterlesen »

KLICKEN